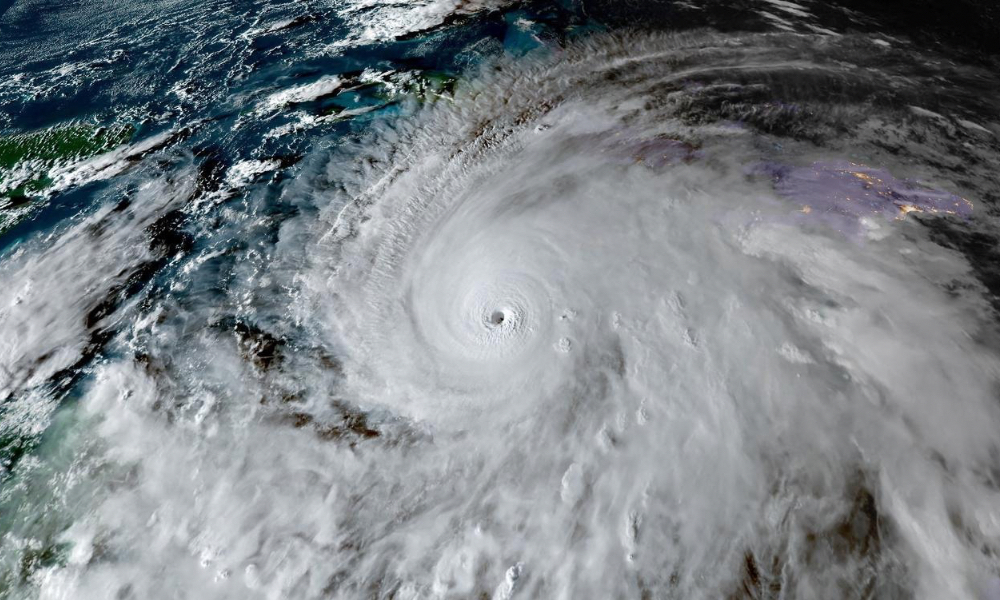
Con venti che hanno toccato i 295 km/h, l’uragano Melissa si è abbattuto con una forza storica sulla Giamaica, lasciando dietro di sé distruzione, blackout diffusi e almeno sette vittime confermate nei Caraibi. Ora la tempesta si dirige verso Cuba, dove migliaia di persone sono state evacuate in via preventiva, mentre il mondo assiste a una delle più violente manifestazioni del clima tropicale degli ultimi decenni.
Una potenza senza precedenti
Melissa è considerato uno degli uragani più potenti mai registrati nell’Atlantico. Ha toccato terra nella regione di New Hope, nella Giamaica sud-occidentale, con venti fino a 185 miglia orarie. Intere comunità sono rimaste isolate, linee elettriche distrutte e infrastrutture gravemente danneggiate, in particolare nella parrocchia di St Elizabeth, dove le inondazioni hanno sommerso case e campi.
L’isola in ginocchio
Le autorità giamaicane hanno dichiarato lo stato di emergenza nazionale. Ospedali, scuole e strade sono fuori uso, mentre le operazioni di soccorso continuano tra le macerie. Centinaia di famiglie hanno trovato rifugio in strutture temporanee e la priorità resta garantire acqua potabile, energia e comunicazioni. Il primo ministro Andrew Holness ha definito Melissa “la tempesta del secolo”, chiedendo aiuto internazionale immediato.
Verso Cuba e oltre
Dopo aver attraversato la Giamaica, l’uragano ha proseguito la sua rotta verso Cuba, dove sono già iniziate evacuazioni di massa nelle province occidentali. Secondo i meteorologi, Melissa potrebbe mantenere la categoria 4 anche dopo l’impatto, alimentato dalle alte temperature marine. Si teme che le piogge torrenziali possano causare frane e allagamenti anche in zone montuose.
Il segno del cambiamento climatico
Gli esperti sottolineano come la rapidissima intensificazione di Melissa sia legata alle acque insolitamente calde dell’Atlantico, effetto diretto del cambiamento climatico. L’uragano diventa così il simbolo di una nuova normalità meteorologica, in cui le isole caraibiche si trovano sempre più vulnerabili di fronte a fenomeni estremi di portata catastrofica.
