Un aiuto concreto alle madri lavoratrici: fino a 480 euro con il Bonus Mamme 2025.
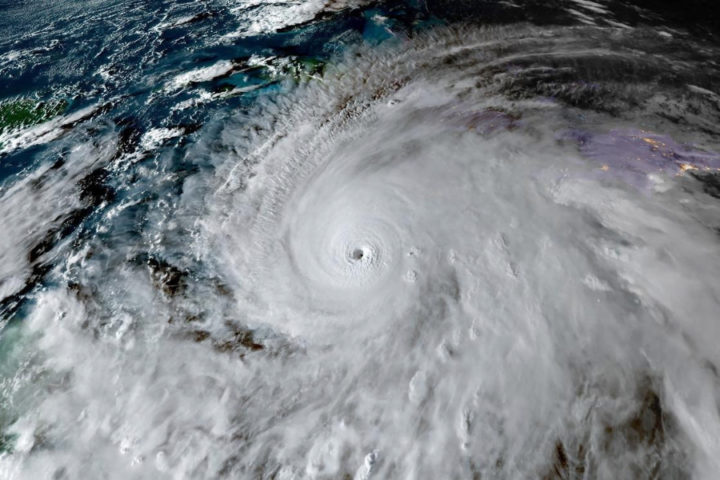
L’uragano Melissa devasta la Giamaica e punta su Cuba: potenza storica e allarme climatico.
Pier Silvio Berlusconi acquista l’attico di Vianello e Mondaini: memoria, affetto e simbolo televisivo.
La Turchia trema ancora: paura, feriti e solidarietà dopo il violento sisma tra Izmir e Istanbul.
Due donne, un’esplosione e una verità sepolta: Down Cemetery Road accende Oxford di mistero.
Alfa conquista Assago con un live intenso, autentico e pieno d’amore condiviso dal pubblico.
“IT: Welcome to Derry” è la serie prequel dell’universo di “It” di Stephen King, ambientata nel 1962 a Derry, nel Maine
Hot Wheels reinventa la CLA: un’auto-giocattolo visionaria dove design, colore e libertà si fondono.
Golden Lift Overnight Cream, il trattamento notturno che rinnova la pelle e ferma il tempo.
Una pioggia di amminoacidi puri che rigenera, illumina e riequilibra la pelle con delicatezza.